|
Call Ian at
604 YOUR KEY to view this property
Ian Brett
Phone: (604) 968-7539 ian@captainvancouver.com |
|||||||||||||||||
| Property Details | |||
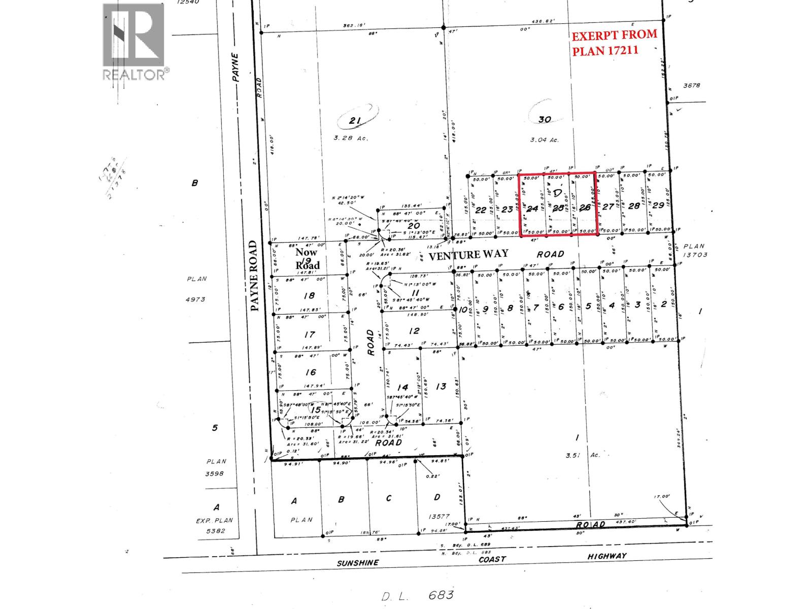
| Rare Vacant Land offering in the Industrial Commercial Zone Area. Situated in the Heart of Upper Gibsons between 2 malls with a variety of shops, businesses, pubs restaurants & recreation facilities in the surrounding area. The property is .43 acres with 150' of frontage & is 125' deep. This high visibility, level & fenced site is easy to build, & ready to contribute to the vibrant growth of the Town of Gibsons. A Development Permit approved plan is available for an 18,879 sq. ft. integrated manufacturing building with 9830 sq. ft. at ground level, 6780 sq. ft. on the second level & a 1500 sq. ft. residential suite on the 3rd level, but the zoning offers many other options. All Municipal Services & Utilities are available at the lot line. (id:5347) | |||
| Property Value: | $1,899,000 | Living Area: | 0 sq.ft. |
| Year Built: | Bedrooms: | 0 | |
| House Type: | Bathrooms: | 0 | |
| Property Type: | Vacant Land | Owner Type: | Freehold |
|
Features: Central location Added to MLS: 1/30/2026 2:05:54 AM |
|||





