|
Call Ian at
604 YOUR KEY to view this property
Ian Brett
Phone: (604) 968-7539 ian@captainvancouver.com |
|||||||||||||||||
| Property Details | |||
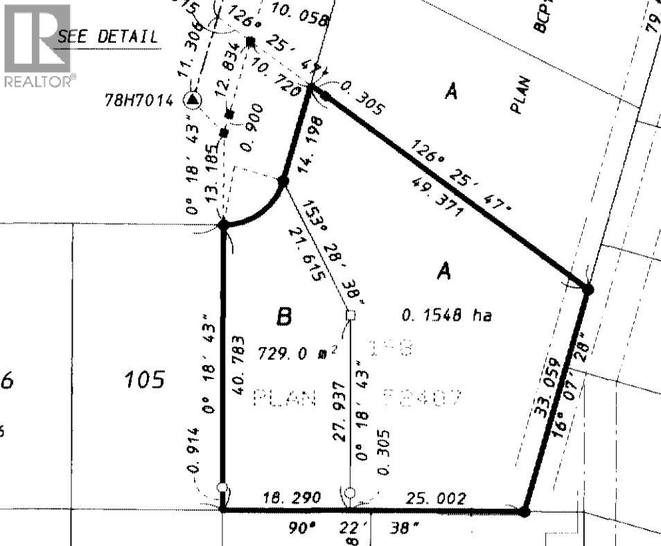
| Rare development opportunity priced $400K below BC Assessment in a prime Burnaby location! 7258 Ridge Drive offers a 7,850 sq.ft. building lot zoned R1, with the City of Burnaby´s new Small-Scale Multi-Unit Housing (SSMUH) framework allowing for up to 6 residential units per legal lot. The property is vacant land with no existing structure and is best suited for an experienced developer or builder prepared to unlock its full potential. The lot configuration and site conditions will require thoughtful planning. Located in an established neighbourhood surrounded by low-density housing, this site presents an opportunity to deliver missing-middle housing. (id:5347) | |||
| Property Value: | $1,399,000 | Living Area: | 0 sq.ft. |
| Year Built: | Bedrooms: | 0 | |
| House Type: | Bathrooms: | 0 | |
| Property Type: | Vacant Land | Owner Type: | Freehold |
|
Added to MLS: 1/27/2026 12:10:40 AM |
|||





