|
|
|
Call Ian at
604 YOUR KEY to view this property
Ian Brett
Phone: (604) 968-7539 ian@captainvancouver.com |
|||||||||||||||||
| Property Details | |||
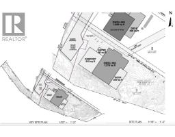
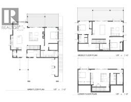
| Limited-Time Buyer Incentive: Secure a fixed-price construction contract today, and if your purchase completes in 2025, the seller will cover GST on the land! l This -3,200 sq. ft. building and land package sits on a 0.31-acre lot showcasing sweeping views of Vancouver, Howe Sound, and distant Mount Baker. Perfectly located near the golf course, beaches, and scenic trails, the property balances convenience and natural beauty. The properties are designed to be low maintenance, giving you more time to enjoy your lifestyle, whether you are entertaining on expansive decks or exploring the outdoors. Buyers can select from alternate floor plans tailored to their needs and choose between a carport or garage. Construction capacity is already secured for 2026. (id:5347) | |||
| Property Value: | $2,560,000 | Living Area: | 3200 sq.ft. |
| Year Built: | 2026 | Bedrooms: | 4 |
| House Type: | House | Bathrooms: | 5 |
| Property Type: | Single Family | Owner Type: | Freehold |
|
Appliances: All View: View Added to MLS: 9/3/2025 7:15:27 PM |
|||





